Up ヤクシソウ 01 作成: 2016-08-25
更新: 2016-09-04



全体

2016-09-04
ディスプレイ解像度 102 pixel/inch で,実寸の 1/5
(画像クリックで,実寸の 1/2 表示へ)







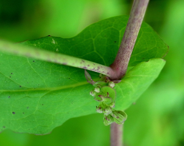
2016-09-04
ディスプレイ解像度 102 pixel/inch で,実寸






2016-09-04






2016-08-25



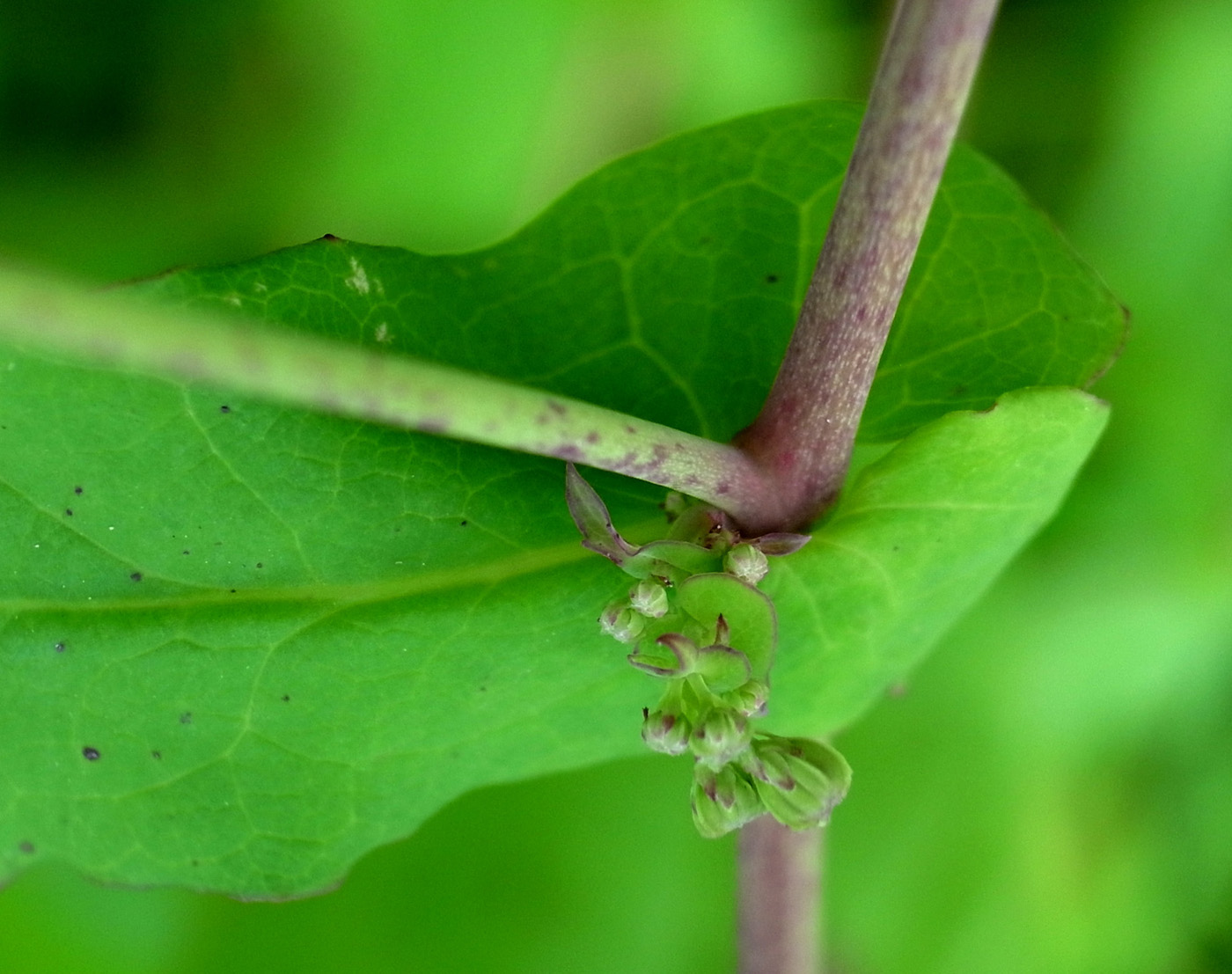
2016-09-04

ディスプレイ解像度 102 pixel/inch で,実寸






2016-08-25



2016-09-04
ディスプレイ解像度 102 pixel/inch で,実寸の 3/4



直径 1.4 cm





蕾の長さ : 5 mm




果実・種子

2016-09-04