Up
キレハイヌガラシ 04
作成: 2015-07-20
更新: 2015-07-20
2015-07-20 採取 ・画像作成
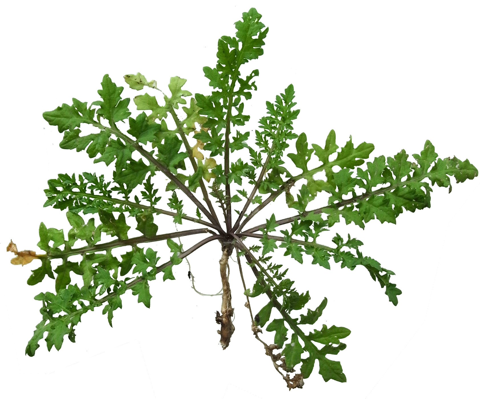
全体
葉