Up エゾフウロ 01 作成: 2015-10-18
更新: 2015-10-18


2015-10-18 採取・画像作成


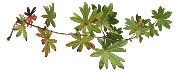
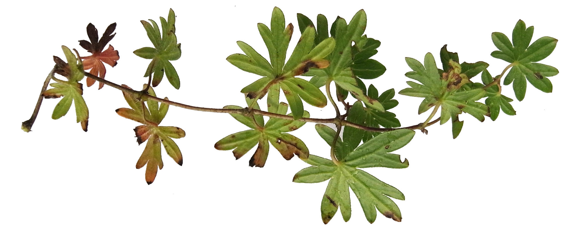
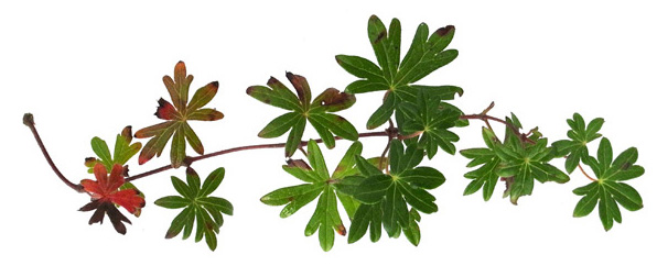
全体