Up
シラカンバ : 冬芽・芽吹き
作成: 2009-06-30
更新: 2014-01-16
葉芽
花芽
雄花──冬芽・花
雌
花──冬芽・花・果実・種子
2010-01-26
2010-02-12
2010-03-28
短枝の先につく冬芽
2013-12-21
以下,室内水挿しで芽吹き
2014-01-16
冬芽の形成
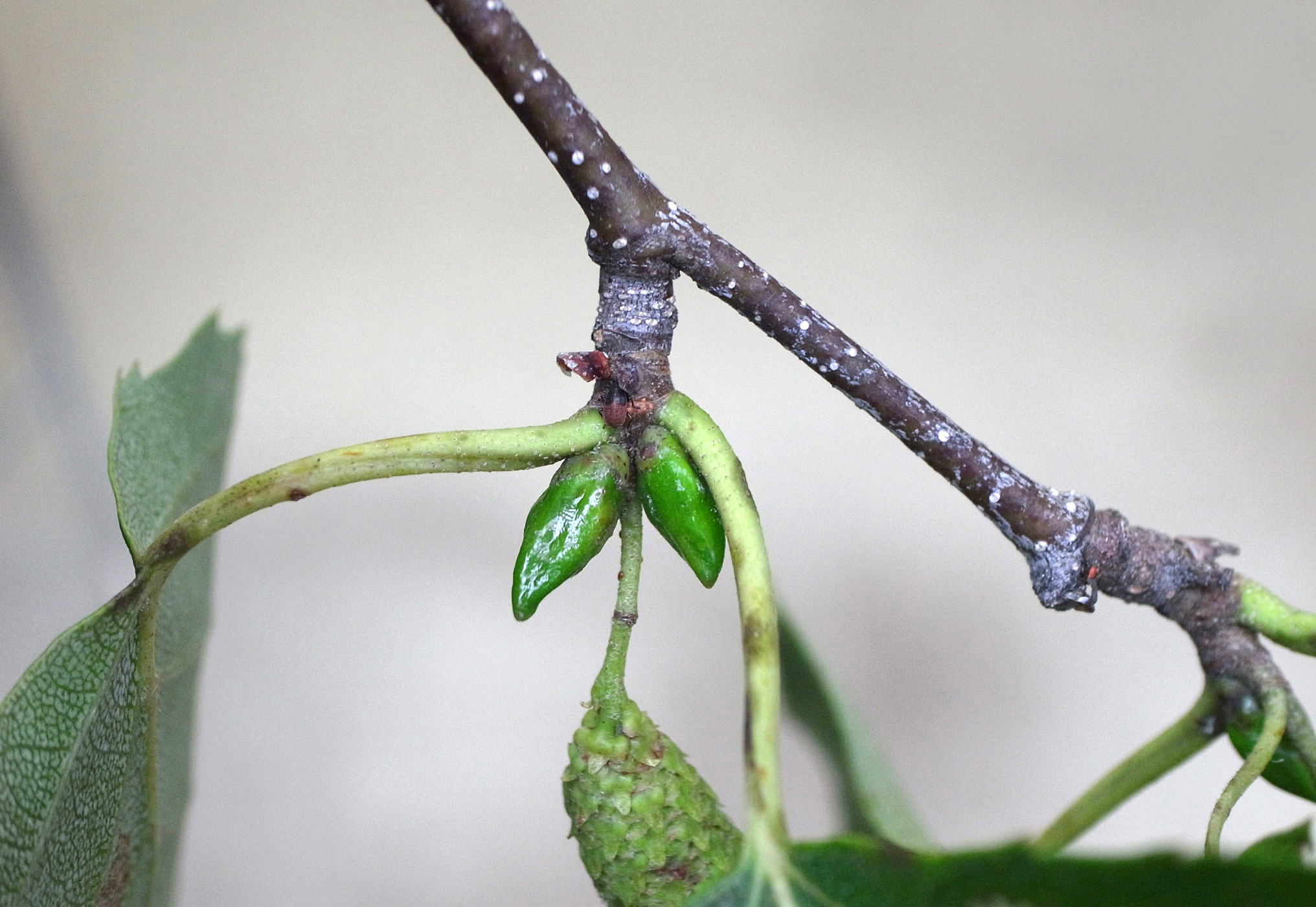
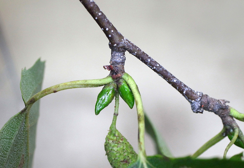
2012-08-16
短枝の先の芽から,(1) 雌花 (→果実), (2) 葉, (3) 来年開く冬芽,が発生
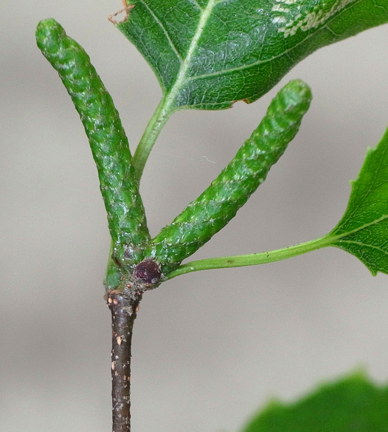
2012-08-17
当年枝の先についた雄花の裸芽
仮頂芽
側芽
前年枝から当年枝へ
短枝の先の芽から,(1) 雌花 (→果実), (2) 葉, (3) 来年開く冬芽,が発生