Up
ナツツバキ (シャラノキ)
作成: 2009-07-02
更新: 2013-03-19
分類: 被子植物門 | 双子葉植物綱 | ビワモドキ亜綱 | ツバキ目 | ツバキ科 |
ナツツバキ属
幹
2011-07-24
直径 8cm
直径 11cm
2010-06-20
直径 27cm
葉
2010-06-20
2011-07-24
2010-08-19
花
2012-07-07
2011-07-24
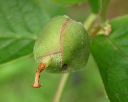
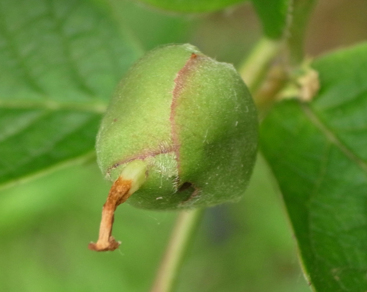
実
2011-07-24
2010-08-19
参考サイト
oNLINE 植物アルバム @宮城教育大学環境教育実践研究センター安江研究室
植物雑学事典 @岡山理科大学
樹木図鑑 @http://www.geocities.jp/greensv88/
かのんの樹木図鑑
木には名前がある
道 外
2014-03-10