Up
クマイチゴ
作成: 2010-02-18
更新: 2016-08-19
分類: 被子植物門 | 双子葉植物綱 | バラ亜綱 | バラ目 | バラ科 |
キイチゴ属
樹形
2015-05-27
幹
2013-05-01
直径 0.9 cm
2012-05-06
幹の直径 1 cm
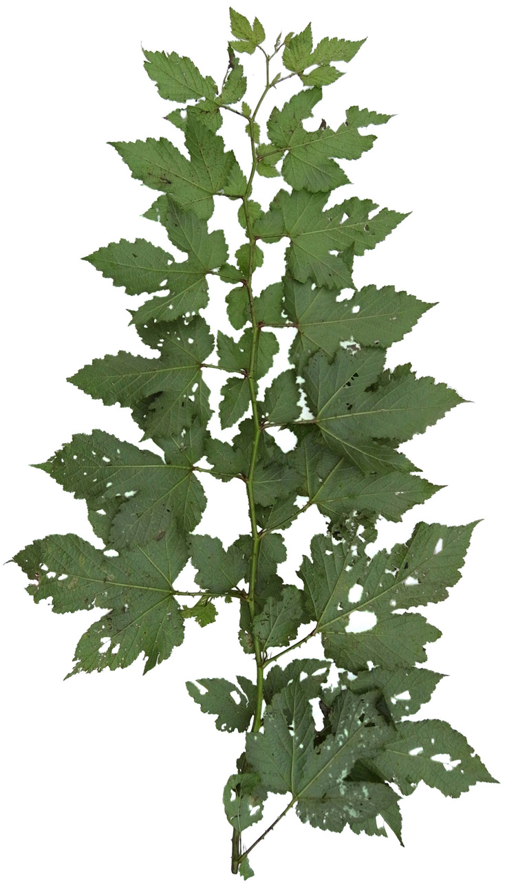
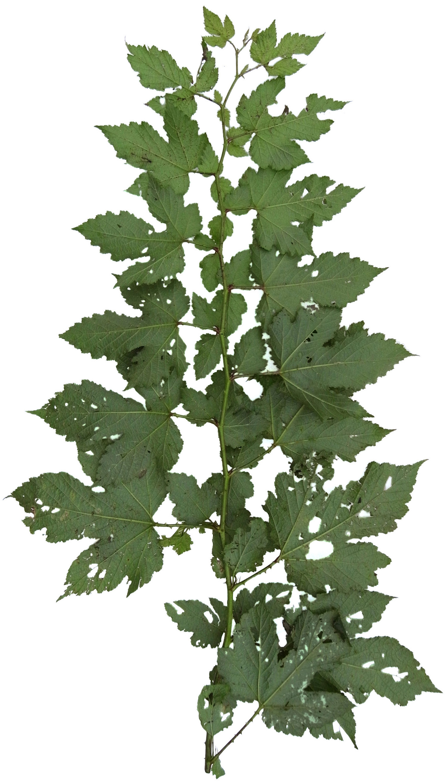
葉
2012-05-06
2012-06-05
2012-06-05
2012-06-10
2016-08-19
ディスプレイ解像度 102 pixel/inch で,実寸の 1/3
(画像クリックで,実寸の 2/3 表示へ)
ディスプレイ解像度 102 pixel/inch で,実寸
ディスプレイ解像度 102 pixel/inch で,実寸
2011-09-21
2012-09-24
分枝
2012-09-24
冬芽・芽吹き
2012-05-06
花
2015-05-27
2015-06-05
参考サイト
oNLINE 植物アルバム @宮城教育大学環境教育実践研究センター安江研究室
植物雑学事典 @岡山理科大学
かのんの樹木図鑑
ノパの庭
デジタル植物園
NAGY版植物図鑑