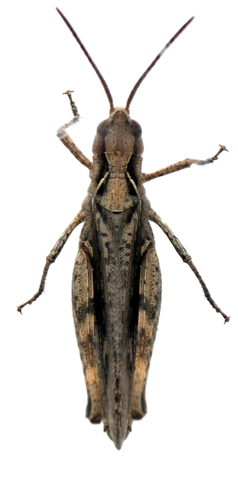
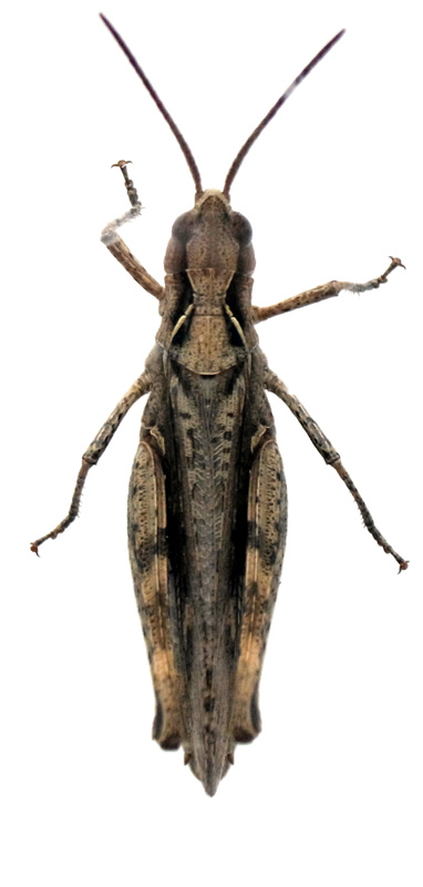
Up ヒナバッタ 01 作成: 2018-08-13
更新: 2018-08-13


2018-08-13
体長:2.5 cm